$3,000

 NEG

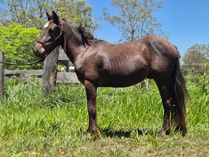
Partbred Gypsy Cob Gelding

Bucca QLD, Australia

 

Friendly, laid-back nature. Well exposed to other horses, farm animals, and machinery. Good to handle, has qld itch, occasional mild locking stifle that has been improving as he grows. Has been checked by a vet. Santo would excell as a child's pony with his crusiey attitude and naturally more whoa then go. Would also make a stunning and reliable harness pony. Microchipped and up to date with Tetanus & Strangles vaccination. Eligible for Gypsy Cob partbred registration.

Pedigree Tree
Tredegar Santo

Painted Charm Midnight Geronimo
Painted Charm Midnight Geronimo

Tredegar Santo's sire

Brightwater Midnight Oil
Brightwater Midnight Oil

Painted Charm Midnight Geronimo 's sire

 

 

 

 

Wimballan Anielka
Wimballan Anielka

Painted Charm Midnight Geronimo 's dam

 

 

 

 

Daytona
Daytona

Tredegar Santo's dam

 

 

 

 

 

 

 

 

 

 

 

 

Stevie Morgan

Member since 2015  ·  3 ads

Call

0423 ··· ···

© 2025 Horsezone. All rights reserved.

User Agreement

Privacy Policy